Щоб переглянути це відео, будь ласка, увімкніть JavaScript та розгляньте можливість оновлення веббраузера до веббраузера, який підтримує відео HTML5.
Далі
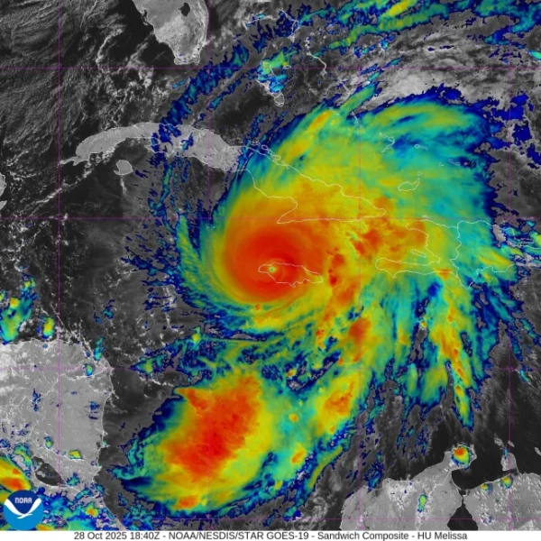
Глядачі карти польотів у реальному часі були приголомшені, коли літаки ВПС США «Мисливці за ураганами» пролетіли над оком шторму, перш ніж він досяг Ямайки.
Ураган Мелісса спустошив карибську країну, яку зараз оголосили «зоною стихійного лиха», затопивши міста. Це найсильніший шторм, який обрушився на острів з початку ведення спостережень 174 роки тому.
Але це не завадило американському літаку виконати місію зі збору метеорологічних даних для Національного центру ураганів Америки.
Мисливці за ураганами літають у шторми та навколо них, щоб виміряти швидкість вітру, тиск, температуру та вологість. Ці дані потім допомагають центру складати точні прогнози та планувати надзвичайні заходи.
Під час цієї місії ескадрилья здійснила переліт на літаку Super Hercules з одного боку Мелісси до іншого. Як видно на карті польоту, він пронизав око шторму з південного сходу на висоті до 10 000 футів.



Інший літак, WP-3D Orion, кружляв над краєм шторму, поки Національне управління океанічних і атмосферних досліджень пілотувало цей реактивний літак у рамках місії Повітряних сил.
У публікації на Facebook, створеній Мисливцями за ураганами резерву ВПС, розповідається про місію та йдеться, що екіпаж повернувся до свого «оперативного місця на Кюрасао після зіткнення з сильною турбулентністю» в оці шторму.
У повідомленні додається: «Під час події літак ненадовго зазнав впливу сильніших за норму сил через турбулентність. Хоча це не означає автоматично пошкодження, стандартні процедури безпеки вимагають перевірки перед поверненням до експлуатації».
Ураган Мелісса називають найпотужнішим штормом року, і він вже спричинив сім смертей – трьох на Ямайці, перш ніж досяг суші, трьох на Гаїті та однієї в Домініканській Республіці.


Ямайка оголосила про евакуацію через підготовку до сильних повеней та відключень електроенергії. Британським туристам, які застрягли там, сказали залишатися вдома, і вони сказали, що «по всьому острову завдано значної шкоди».
Більше трендів
-

Путін випробував «непереможну» підводну зброю, яка «може викликати радіоактивні цунамі»
Світ 15 годин тому
- Четверо людей загинули після того, як на Ямайці на море викинуло тіла внаслідок урагану Мелісса
- США виводять війська з країн НАТО на порозі Росії
- Крокодили, що тікають від урагану Мелісса, зайшли в міста Ямайки
Прем'єр-міністр Ямайки Ендрю Холнесс попередив про «руйнівні наслідки» та заявив, що наявні повідомлення вказують на «пошкодження лікарень, значну шкоду житловій, комерційній та іншій нерухомості».
Розвідка урагану Мелісса ВПС США відбувається на тлі питання виплати заробітної плати військовослужбовцям через припинення роботи уряду США.
Багато федеральних службовців залишаються без оплати праці з початку карантину 1 жовтня, але їм мають виплатити зарплату ретроактивно після його закінчення. Працівники життєво важливих професій, такі як військові, повинні продовжувати працювати.
Однак віцепрезидент Джей Ді Венс заявив, що вони «можуть продовжувати виплачувати військам зарплату, принаймні поки що». Він ще не пояснив, як будуть перерозподілені кошти, щоб військовослужбовці отримали виплату, як і очікувалося, наприкінці тижня.
БІЛЬШЕ: «Ураган Мелісса не є стихійним лихом – потрібно зробити більше, щоб назвати його тим, чим він є»
ДЕТАЛЬНІШЕ: Крокодили, що тікають від урагану Мелісса, потрапляють до міст на Ямайці
БІЛЬШЕ: Карта показує, де вдарить ураган Мелісса, який назвали «найсмертоноснішим у році»
Оновлення новин
Будьте в курсі заголовків завдяки щоденним оновленням електронною поштою.
Електронна пошта Я погоджуюся отримувати розсилки від Metro Зареєструватися
Цей сайт захищено reCAPTCHA, і до нього застосовуються Політика конфіденційності та Умови надання послуг Google. Ваша інформація буде використана відповідно до нашої Політики конфіденційності.
Sourse: metro.co.uk
