Щоб переглянути це відео, будь ласка, увімкніть JavaScript та розгляньте можливість оновлення веббраузера до веббраузера, який підтримує відео HTML5.
Далі
25 людей загинули на Гаїті внаслідок масової повені, спричиненої ураганом Мелісса, а всю Ямайку оголосили «зоною стихійного лиха».
До виходу на сушу загинуло троє людей, але міністр уряду згодом попередив, що ще зарано знати, скільки саме загинуло.
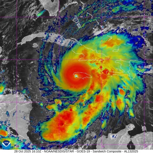
Національний центр ураганів США повідомив, що Мелісса – один із найсильніших атлантичних ураганів за всю історію спостережень, і найсильніший, що обрушився на острів з початку ведення обліку 174 роки тому.
Ураган обрушився на південне узбережжя Ямайки одразу після полудня за місцевим часом (17:00 за Гринвічем), принісши вітер зі швидкістю 295 км/год та безперервні дощі, що призвели до масштабних повеней.
Цілі міста зараз під водою, а критично важлива інфраструктура, включаючи кілька лікарень, згоріла.
Прем'єр-міністр Ямайки Ендрю Холнесс оголосив острів «зоною стихійного лиха», а влада попередила мешканців залишатися в укритті через постійні повені та зсуви, оскільки жахлива негода зберігалася навіть попри те, що найсильніший ураган просувався далі.
Національний центр ураганів США заявив: «ЦЕ НАДЗВИЧАЙНО НЕБЕЗПЕЧНА ТА ЗАГРОЖНА ДЛЯ ЖИТТЯ СИТУАЦІЯ!»
Якщо ви перебуваєте на Ямайці і це для вас безпечно, ми хотіли б почути вашу думку. Напишіть нашій команді новин на адресу [email protected]

Директор центру Майкл Бреннан заявив, що чиновники очікують «дуже небезпечного сценарію», і вітер незабаром може досягти швидкості 200 миль/год.
Червоний Хрест прогнозує, що «шторм століття», ймовірно, торкнеться 1 500 000 людей лише на Ямайці.
Ліза Сангстер, 30-річна спеціалістка з комунікацій у Кінгстоні, розповіла, що її будинок був спустошений штормом.
Вона сказала: «Моя сестра… пояснила, що частину нашого даху знесло, інші частини обвалилися, і весь будинок затопило».
«Зовнішні споруди, такі як наша вулична кухня, собачий вольєр та загони для сільськогосподарських тварин, також зникли, були знищені».

Масштаби збитків поки що незрозумілі: комплексна оцінка може зайняти кілька днів, і значна частина острова досі залишається без електроенергії, а мережі зв'язку сильно порушені.
Міністр Ямайки з питань зміни клімату заявив CNN, що наслідки ураження Мелісою були «катастрофічними», посилаючись на затоплені будинки та «серйозно пошкоджену громадську інфраструктуру» та лікарні.
31-річний Метью Таппер попередив, що мешканцям столиці «пощастило», але побоювався за своїх співвітчизників-ямайців у сільській місцевості острова.
«Моє серце з людьми, які живуть на західному кінці острова», – сказав він.
З того часу ураган Мелісса ослаб до 4 категорії, але все ще катастрофічно сильний і обертається над островом зі швидкістю 240 км/год.

Люди, що живуть на південному заході Ямайки, розповідали, що вітер зриває їхні дахи та кидає дерева, а сильні дощі затоплюють їхні сади.
Паводкова вода протікає через населені пункти вздовж південного узбережжя острова, зокрема в Сент-Елізабет, Манчестері, Вестморленді та Сент-Джеймсі.
Щонайменше чотири лікарні постраждали від сильного вітру, пацієнтів та персонал з нижніх поверхів евакуювали на вищі.
За словами представників охорони здоров'я, усі лікарні перейшли на режим надзвичайної ситуації, амбулаторні та планові операції призупинено, а відвідування обмежено.
Дах технічної середньої школи Святої Єлизавети на південному заході Ямайки частково зірвало. У той же час, за словами мера Блек-Рівер, столиці Святої Єлизавети, вона «руйнується з кожною хвилиною».
